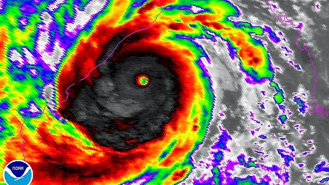
India has emergency preparations in place as highly dangerous Cyclone Phailin, which formed only a few days ago in the Bay of Bengal, bears down on the sub-continent. The storm is as of now the equivalent of a Category Five on the Saffir-Simpson scale and is enormous in size, comparable in size to Hurricane Katrina, which devastated New Orleans and the Gulf Coast region of the United States in 2005.
Highly destructive winds well over 160 kph (100 mph) and flooding rain of at least 100-200 mm (4-8 inches) is expected across a wide area. A catastrophic storm surge of at least 4-6 meters (14-20 feet) is expected in advance of the storm making landfall on Saturday morning, local time.
The local government has issued mandatory evacuation orders for people living in the path of the ferocious storm, with several hundred thousands residents already relocated to designated shelters throughout the region. Anyone residing in the states of Orissa or eastern Andhra Pradesh is strongly encouraged to take proper precautions and prepare for life-threatening conditions as the storm makes landfall.
Phailin is the most dangerous storm to hit the region since 1999, when super cyclone Odisha hit India, killing more than 15,000 people. The areas expected to be pummeled by Phailan this weekend, specifically in an area from the cities of Visakhapatnam to Brahmapur, is home to millions of people, a majority of whom live in substandard housing.
After making landfall in northeastern India on Saturday, the cyclone will continue to track northwest through the interior of India and weaken Sunday into Monday, where heavy rain will continue to cause flooding and even mudslides through early next week.

No comments:
Post a Comment